Baugrundstück in gehobener Nachbarschaft - Gebotsverfahren -
Beschreibung:
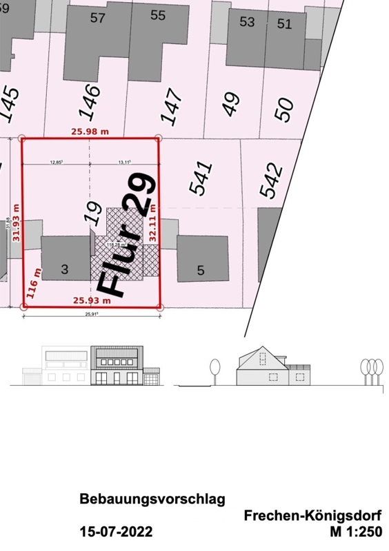
Dieses Grundstück ist eine Gelegenheit für private Bauherren, die sich hier den Traum vom Eigenheim in sehr guter Lage ermöglichen wollen.Das Grundstück liegt in ruhiger und verkehrsarmer Lage von Königsdorf und ist Bebaubar nach: Nachbarbebauung (§34 BauGB) - Doppelhaushälfte mit ca. 175m² Wohnfläche.
Die Vollendung der Teilung des bestehenden Grundstückes wird vom Käufer übernommen, die Vermessung erfolgte im Vorfeld.
Naturfreunde, sportbegeisterte Outdoor Fans (Golfer/Jogger/Walker/Biker/Reiter) und Familien mit Kindern werden diesen Standort lieben.
Wegen der hervorragenden Anbindung an die Verkehrsknoten und den ÖPNV ist der Standort auch für Pendler ideal.
Königsdorf zählt zu den begehrtesten Adressen im Kölner Westen. Dieser wertstabile Standort hat erhebliche Entwicklungschancen.
Lagebeschreibung:
Das angebotene Grundstück liegt in einer ruhigen Straße ohne Durchgangsverkehr im beliebten Königsdorf.Frechen-Königsdorf hat sich zu einem begehrten und renommierten Wohnort im Kölner Westen entwickelt. Sie genießen hier, am Rande des Villeforstes gelegen, eine idyllische Umgebung/Naherholung und profitieren gleichzeitig von einer ausgezeichneten Infrastruktur und einer top Verkehrsanbindung. Über das nah gelegene Autobahnkreuz Köln-West erreichen Sie alle lokalen und regionalen Standorte in der Metropole Köln innerhalb von nur 20-30 Minuten per PKW. Mit den Linien 12 + 13 der S-Bahn sind Sie in nur 15 Minuten am Kölner Hauptbahnhof, sowie in 30 Minuten am Flughafen Köln-Bonn.
Wenige Minuten Fußweg vom Grundstück entfernt, fahren die Buslinie 957, 980 und 931. Die Ortsmitte Königsdorf sowie den S-Bahnhof Frechen-Königsdorf mit Anbindung an die Station Weiden West mit der Linie 1 (incl. Park & Ride - Parkplatz) erreicht man fußläufig in ca. 15 Minuten.
In Königsdorf finden Sie eine gute Versorgung des täglichen Bedarfs vor: Ärzte, Apotheken, Kindergärten, Grundschule sowie Banken und Postamt. Lebensmittelmärkte, Discounter und ein Wochenmarkt bieten in Königsdorf beste Einkaufsmöglichkeiten. Fachgeschäfte runden das Angebot ab.
Im nahe gelegenen Rheincenter in Köln-Weiden wird das Einkaufen zum Shopping-Erlebnis. Nach nur 7-minütiger Busfahrt mit der Linie 950 können Sie dort entspannt einkaufen.
Königsdorf bietet zahlreiche Sport- und Freizeitmöglichkeiten an : Fahrradfahren auf gut ausgebauten Fahrradwegen, Joggen im nahe gelegenen Wald, Turnen, Mannschaftssport, Fitness, Reiten etc. Golfsportfreunde finden in der Region zahlreiche 9 und 18 Loch Plätze vor. Der nächstgelegene Platz ist mit dem Rad einen "Steinwurf" entfernt.
Die Stadt Frechen liegt rund 15 km westlich vom Zentrum der Metropole Köln entfernt. Mit ca. 52.000 Einwohnern gehört Frechen zu den größten Städten des Rhein-Erft-Kreises.
Ausstattung:
Energieausweis:
Ausstattungsbeschreibung:
Die ausführliche Beschreibung erhalten Sie in unserem PDF-Exposé.Bitte senden Sie uns hierzu eine Anfrage!
Sonstige Angaben:
Anmerkung zum Gebotsverfahren:Nach der Besichtigung des Grundstückes haben Sie die Möglichkeit, innerhalb einer festgesetzten Frist ein schriftliches Kaufangebot abzugeben.
Alle eingegangenen Gebote werden ausgewertet. Bei der Auswahl des Käufers können neben der gebotenen Summe auch weitere Kriterien, wie beispielsweise Finanzierungsnachweise oder Einkommensverhältnisse, eine Rolle spielen.
Mit der Abgabe eines Gebots entsteht grundsätzlich kein Anspruch auf Abschluss eines Kaufvertrages.
Der guten Ordnung halber weisen wir Sie darauf hin, dass unsere Tätigkeit, eine Vermittlungs-/Nachweisgebühr in Höhe von 3,57 % des Kaufpreises inkl. der gesetzlichen Mehrwertsteuer nach notariellem Vertragsabschluss nach sich zieht. Durch Ihre weitere Objektanfrage bestätigen Sie die Vereinbarung und Anerkennung dieser Maklercourtage. Ferner beruhen diese Objektdaten auf Angaben des Verkäufers, für die wir keine Gewähr übernehmen.
Fragen Sie uns auch nach den aktuellen Finanzierungsmöglichkeiten!












